Skip To Content

1265 Mcgavock Pike

Nashville, TN 37216
  • $999,900
  • STATUS: Active
  • ON SITE: 131 Days
  • MLS #: RTC3011239
UPDATED: 61 min ago
$999,900
  • 0
    BEDS
  • 0.45
    ACRES
  • 0
    BATHS
  • 0
    1/2 BATHS
Neighborhood:
Type:
Vacant Land / Lots
County:

School Information

Description

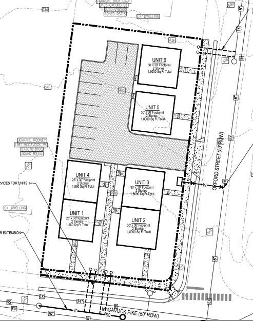
Preliminary SP Approved. Lot is approved for six homes. Excellent walkability to Riverside Village, which includes staples such as Mitchell's Deli, Dose Cafe, Village Pub and Beer Garden and more. Short drive to iconic East Nashville dining options Audrey, Folk, Rosepepper, Five Daughters, Margot, Lockeland Table and more. Close to lifestyle amenities such as Shelby Bottoms Park and the Shelby Golf Course. Only 10 minutes to Downtown Nashville!

Monthly Payment Calculator



Realtracs Solutions logoProperties marked with the IDX logo are provided courtesy of the RealTracs Internet Data Exchange Program. Some or all of the listings may not belong to the firm whose website is being visited (Amanda Howard Sotheby's International Realty, (256) 799-9000). IDX information © 2026 MTRMLS, Inc. Information is believed to be accurate but not guaranteed by the MLS or Amanda Howard Sotheby's International Realty. IDX information is provided exclusively for consumers' personal, non-commercial use and may not be used for any purpose other than to identify prospective properties consumers may be interested in purchasing. Data last updated 2026-02-12T22:11:33.663.

Based on information submitted to the MLS GRID as of 2026-02-12T22:11:33.663. All data is obtained from various sources and may not have been verified by broker or MLS GRID. Supplied Open House Information is subject to change without notice. All information should be independently reviewed and verified for accuracy. Properties may or may not be listed by the office/agent presenting the information.
Click here for MLS GRID DMCA Notice
www.amandahowardrealestate.com/homes/168502576
Print Image

1265 Mcgavock Pike Nashville, TN 37216

  • Price: $999,900
  • Status: Active
  • On Site: 131 Days
  • Updated: 61 min ago
  • MLS #: RTC3011239
0
Beds
0
Baths
0
½ Baths
0.45
Acres
Neighborhood:
Kenmore Place
County:
Davidson
Elementary School:
Inglewood Elementary
Middle School:
Isaac Litton Middle
High School:
Stratford Stem Magnet School Upper Campus
Property Description
Preliminary SP Approved. Lot is approved for six homes. Excellent walkability to Riverside Village, which includes staples such as Mitchell's Deli, Dose Cafe, Village Pub and Beer Garden and more. Short drive to iconic East Nashville dining options Audrey, Folk, Rosepepper, Five Daughters, Margot, Lockeland Table and more. Close to lifestyle amenities such as Shelby Bottoms Park and the Shelby Golf Course. Only 10 minutes to Downtown Nashville!
Exterior Features

Lot Features Corner Lot Lot Size Dimensions 100 X 195 Parking Total 0 Road Frontage Type City Street Road Surface Type Asphalt Topography Corner Lot View YN No Waterfront YN No

Interior Features

Cooling YN No Heating YN No

Property Features

Association YN No Building Area Total 0 Inclusions Land Only Lot Size Area 0.45 Pool Private YN No Property Attached YN No Senior Community YN No Sewer Public Sewer Special Listing Conditions Owner Agent Tax Annual Amount 1220 Water Source Public Zoning SP

Realtracs Solutions logo Offered by The Sapphire Group Real Estate: . Copyright 2026 RealTracs, Inc. Information Is Believed To Be Accurate But Not Guaranteed. Listings courtesy of Realtracs MLS as distributed by MLS GRID.


Realtracs Solutions logoProperties marked with the IDX logo are provided courtesy of the RealTracs Internet Data Exchange Program. Some or all of the listings may not belong to the firm whose website is being visited (Amanda Howard Sotheby's International Realty, (256) 799-9000). IDX information © 2026 MTRMLS, Inc. Information is believed to be accurate but not guaranteed by the MLS or Amanda Howard Sotheby's International Realty. IDX information is provided exclusively for consumers' personal, non-commercial use and may not be used for any purpose other than to identify prospective properties consumers may be interested in purchasing. Data last updated 2026-02-12T22:11:33.663.

Based on information submitted to the MLS GRID as of 2026-02-12T22:11:33.663. All data is obtained from various sources and may not have been verified by broker or MLS GRID. Supplied Open House Information is subject to change without notice. All information should be independently reviewed and verified for accuracy. Properties may or may not be listed by the office/agent presenting the information.
Click here for MLS GRID DMCA Notice
 
https://bt-photos.global.ssl.fastly.net/nashville/1280_boomver_1_RTC3011239-1.jpg https://bt-photos.global.ssl.fastly.net/nashville/1280_boomver_1_RTC3011239-1.jpg
Logo
Amanda Howard Sotheby's International Realty
315-A Franklin Street
Huntsville AL, 35801